Harta Adauga

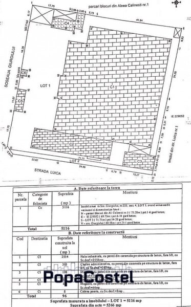
Giurgiului x Luica teren 5116 mp dubla deschidere 68 ml x 70 ml

4.300.000 €

Bucuresti, 05 mar, 13:55

Descriere anunt

Giurgiului intersectie cu Luica vanzare teren cu toate utilitatile bransate, deschidere la 2 strazi foarte circulate. Ideal bloc turn cu parcari subterane si spatii comerciale la parter, sau supermarket. Suntem agentie imobiliara si pecepem comision. Mai multe oferte, detalii si informatii gasiti pe site-ul nostru: PopaCostel.ro

Anunt expirat

Pagina pe care doriti sa o accesati poate sa contina elemente care nu sunt recomandate minorilor!
Va rugam sa confirmati ca aveti peste 18 ani!