Harta Adauga

Rahova, Salaj,

250.000 €

Sector 5, 03 nov, 13:50

Descriere anunt

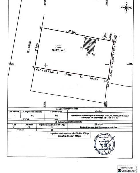
teren 470 mp, deschidere 16 m – zona Rahova, Salaj, str. Oltului, Galaxy Imob va propune spre vanzare un teren intravilan cu suprafata de 470 mp si deschidere generoasa de 16 metri la strada asfaltata.

Toate utilitatile – apa, gaz, canalizare – sunt la limita proprietatii, iar curentul electric este deja tras pe teren prin intermediul unei case existente de 23 mp care nu are calcan cu alte constructii.

Latura mica de 16 m este orientata Vest–Est, iar latura mare de 28 m este orientata Nord–Sud.

Amplasarea este foarte buna, in zona Rahova–Salaj, la cateva minute de Piata Rahova si Sos. Salaj, cu acces rapid catre centrul orasului prin arterele principale (Sos. Alexandriei, Calea Rahovei).

Vecinatatile sunt atractive si bine deservite: mijloace de transport (tramvai, autobuz), unitati de invatamant, magazine si centre comerciale (Liberty Mall, Kaufland, Lidl), piete si servicii diverse.

Terenul are dimensiuni echilibrate si o deschidere potrivita pentru proiecte variate – locuinta individuala sau dezvoltare rezidentiala.

Prezenta casei faciliteaza racordarea la energie electrica, reducand timpul si costurile de pregatire pentru constructia viitoare. Investitia este solida, cu potential imediat de valorificare intr-o zona urbana in crestere.

Pret de vanzare: 250.000 EUR

Vizionari: 0720=451=235

Cosmin OLINICI, non-stop

Caracteristici, dotari

Detalii suplimentare

Acces drum asfaltat
Alimentare apa
Cadastru
Canalizare
Certificat urbanism
constructie teren
Curent electric
Cut
Ingradit
Intabulare
Liber
Puz
Stradal
Vezi telefon
Anunturile utilizatorului
Distribuie Facebook
Anunturi din aceeasi zona
Vezi prețul mediu al zonei
Trimite mesaj privat

Pagina pe care doriti sa o accesati poate sa contina elemente care nu sunt recomandate minorilor!
Va rugam sa confirmati ca aveti peste 18 ani!